Hồ sơ tài liệu
Hàng triệu người Mỹ sơ tán vì "siêu bão đầu lâu" Matthew
Cơn bão nguồn gốc Caribbean được đánh giá là mạnh nhất trong suốt 1 thập niên đổ bộ vào Bahamas ngày 5/10, theo Reuters.
![]() |
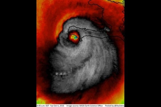
Trước đó, tối 4/10, một hình ảnh vệ tinh về bão Matthew do Cơ quan hàng không vũ trụ Mỹ (NASA) chụp được đã lan truyền trên mạng xã hội. Người ta đồn nhau rằng đây là một cơn bão “quỷ dữ” có sức công phá mạnh nhất suốt 1 thập niên qua, đồng thời có hình dạng đáng sợ như 1 hình đầu lâu. |
![]() |
|
Hàng triệu người dân đã phải sơ tán khỏi khu vực bờ đông nam nước Mỹ hôm 5/10 do lo ngại ảnh hưởng của bão. Bão Hurricane Matthew đổ bộ vào khu vực đông nam nước Mỹ, với tốc độ đêm 5/10 (giờ địa phương) dự kiến là khoảng 125 dặm/h (tương đương 205km/h). |
![]() |
Toàn bộ các tuyến đường bộ ở Florida, Georgia, Bắc và Nam Carolina – các bang nằm trên đường di chuyển của bão Matthew đã bị đình trệ giao thông do bão, các trạm xăng và các cửa hàng thực phẩm đều không đủ “cung” khi bão về do người dân đổ xô đi mua xăng, thực phẩm phòng bão. |
![]() |
Trước đó, bão Matthew đã làm ít nhất 26 người thiệt mạng và phá hủy hàng loạt căn nhà ở phía nam Haiti, và cường độ bão sẽ mạnh lên trên đường đổ bộ vào Florida. |
![]() |
Trung tâm dự báo Bão quốc gia Mỹ đã mở rộng khu vực cảnh báo bão về phía bắc Gruzia, thống đốc Florida Scott nhắc nhở giới chức bang này trong một cuộc họp báo hôm 4/10 : “Nếu bão Matthew tác động trực tiếp tới Florida, mức độ hủy diệt có thể lên tới… thảm họa, chúng ta cần hết sức đề phòng”. Trong ảnh, bão Matthew quét qua tỉnh Guantanamo của Cuba. |
![]() |
Người dân Florida đi mua các tấm lợp để che chắn và gia cố nhà cửa trước khi bão về.Ông Paul Meyer, một chuyên gia tại NASA thì giải thích rằng những chiếc răng của "đầu lâu" Matthew thực chất chỉ là các đám mây đối lưu lạnh còn hốc mắt chính là tâm bão. |






