![]() |
Siêu bão Hải Mã đang tiến vào Biển Đông |
Cập nhật từ TTKTTV Trung ương, vào hồi 14 giờ ngày 19/10, vị trí tâm áp thấp nhiệt đới suy yếu từ bão số 7 Sarika ở vào khoảng 21,7 độ Vĩ Bắc; 108,2 độ Kinh Đông, trên vùng bờ biển phía Nam tỉnh Quảng Tây (Trung Quốc). Sức gió mạnh nhất ở vùng gần tâm áp thấp nhiệt đới mạnh cấp 6 (40-50km/giờ), giật cấp 7-8.
Dự báo trong 12 giờ tới, áp thấp nhiệt đới di chuyển theo hướng Bắc Tây Bắc, mỗi giờ đi được 15km, đi vào đất liền và suy yếu thành một vùng áp thấp.
Đến 01 giờ ngày 20/10, vị trí trung tâm vùng áp thấp ở vào khoảng 22,8 độ Vĩ Bắc; 108,0 độ Kinh Đông, trên đất liền phía Nam tỉnh Quảng Tây (Trung Quốc). Sức gió mạnh nhất ở trung tâm vùng áp thấp giảm xuống dưới cấp 6 (dưới 40km/giờ).
![]() |
|
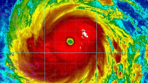
Vị trí và hướng đi của siêu bão Hải Mã. |
Do ảnh hưởng của hoàn lưu áp thấp nhiệt đới ở Bắc Vịnh Bắc Bộ, các huyện đảo Cô Tô, Vân Đồn, Cát Hải, Bạch Long Vĩ có gió mạnh cấp 6, giật cấp 7-8. Sóng biển cao 2-3m, biển động.
Vùng ven biển các tỉnh Quảng Ninh đến Nam Định có gió giật mạnh cấp 6-7. Cấp độ rủi ro thiên tai: cấp 3.
Trong chiều và đêm nay, ở các tỉnh Đông Bắc Bắc Bộ tiếp tục có vừa, mưa to. Lũ quét và sạt lở đất có nguy cơ xảy ra ở khu vực vùng núi thuộc các tỉnh Quảng Ninh, Lạng Sơn và Cao Bằng.
>>>>Xem thêm video:
Đồng thời, theo thông tin từ TTKTTV Trung ương, vào hồi 13 giờ ngày 19/10, vị trí tâm siêu bão Hải Mã ở vào khoảng 16,6 độ Vĩ Bắc; 124,8 độ Kinh Đông, cách đảo Lu Dông khoảng 260km về phía Đông. Sức gió mạnh nhất ở vùng gần tâm siêu bão mạnh cấp 17 (200-220km/giờ),giật trên cấp 17.
Dự báo trong khoảng 24 giờ tới, siêu bão Hải Mã di chuyển theo hướng Tây, sau đó là Tây Tây Bắc, mỗi giờ đi được khoảng 25-30km.
Đến 13 giờ ngày 20/10, vị trí tâm bão ở vào khoảng 18,6 độ Vĩ Bắc; 118,7 độ Kinh Đông, trên khu vực Đông Bắc Biển Đông. Sức gió mạnh nhất ở vùng gần tâm bão mạnh cấp 14 (150-165km/giờ), giật cấp 17.
>>>>>>>Xem thêm video:
Trong 24 giờ tới, vùng nguy hiểm (gió mạnh từ cấp 8 trở lên): phía Bắc vĩ tuyến 16,0 độ Vĩ Bắc; phía Đông kinh tuyến 116,0 độ Kinh Đông.
Trong 24 đến 48 giờ tiếp theo, bão có khả năng đổi hướng di chuyển theo hướng Tây Bắc, mỗi giờ đi được khoảng 25km.



Bình luận bài viết (0)
Gửi bình luận