Cơn bão có cường độ mạnh nhất trong 30 năm
Theo Trung tâm Dự báo khí tượng thủy văn Quốc gia, 18h ngày 6/9, vị trí tâm bão số 3 vào khoảng 20.0 độ Vĩ Bắc; 110.4 độ Kinh Đông, cách Quảng Ninh khoảng 370km. Sức gió mạnh nhất vùng gần tâm bão mạnh cấp 16 (184 - 201km/h), giật trên cấp 17.
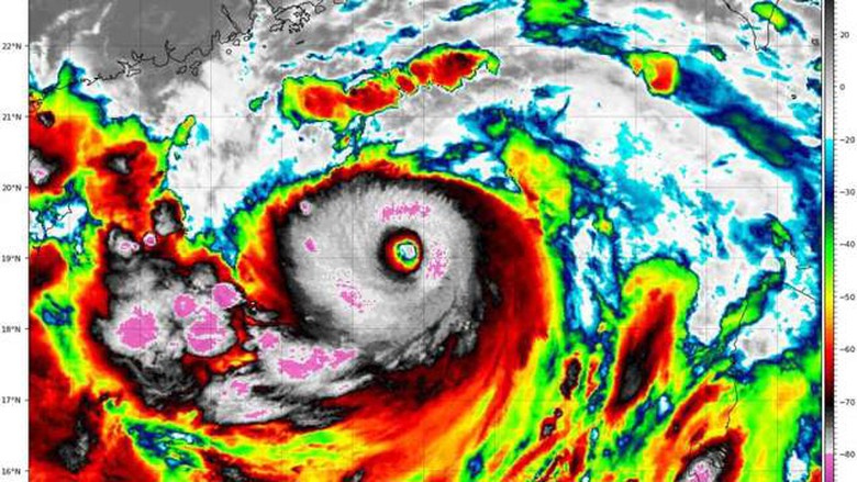
Trong 3 giờ tới, bão di chuyển theo hướng Tây Tây Bắc, tốc độ khoảng 15-20km/h.
Trên biển, phía Tây Bắc của khu vực Bắc Biển Đông đêm 6/9 gió mạnh cấp 10-12, gần tâm bão cấp 14 - 16, giật trên cấp 17; biển động dữ dội. Ngày 7/9 gió giảm dần.
Vùng biển vịnh Bắc Bộ (bao gồm huyện đảo Bạch Long Vỹ có gió mạnh cấp 6 - 7. Từ tối và đêm 6/9, khu vực vịnh Bắc Bộ (bao gồm huyện đảo Bạch Long Vỹ, Cô Tô) gió mạnh dần lên cấp 8 - 9, sau tăng lên cấp 10 - 11, vùng gần tâm bão đi qua cấp 12 - 14, giật cấp 17; biển động dữ dội.
Trên đất liền, từ đêm 6/9 và gần sáng ngày 7/9, vùng ven biển từ Quảng Ninh đến Thanh Hoá có gió mạnh cấp 6 - 7, sau tăng lên cấp 8-9, vùng vần tâm bão cấp 10 - 12, giật cấp 14; khu vực sâu trong đất liền phía Đông Bắc Bộ có gió mạnh cấp 6 - 8, giật cấp 9 - 11 (thời điểm gió mạnh nhất trong khoảng từ sáng đến chiều tối ngày 7/9).

3 giờ tới, bão số 3 di chuyển theo hướng Tây Tây Bắc, tốc độ khoảng 15 - 20km/h. Ảnh: NCHMF.
Theo các chuyên gia khí tượng, trong quá khứ có rất nhiều cơn bão mạnh hoạt động trên Biển Đông, có thể liệt kê như cơn cơn bão (ELLEN), đổ bộ Trung Quốc mạnh cấp 15; cơn bão (DOT) năm 1985; cơn bão BETTY năm 1985, cơn bão ANGELA năm 1995, cơn bão MEGI năm 2010; cơn bão USAGI năm 2013, cơn bão HAIYAN là cơn bão siêu mạnh, cường độ mạnh nhất lên tới cấp 17. Đây là siêu bão có cường độ mạnh nhất trong khoảng 30 năm gần đây hoạt động trên Biển Đông.
Theo dự báo trước đó, từ đêm 6/9 đến sáng 9/9, khu vực Bắc Bộ và Thanh Hóa có khả năng xuất hiện một đợt mưa to, cục bộ có nơi mưa rất to và dông với tổng lượng mưa phổ biến từ 100 - 350mm, có nơi trên 500mm (mưa lớn nhất ở phía Đông Bắc Bộ tập trung trong ngày và đêm 7/9, phía Tây Bắc Bộ từ tối 7/9 đến đêm 8/9).
Mưa lớn có khả năng gây ra tình trạng ngập úng tại các vùng trũng, thấp; lũ quét trên các sông, suối nhỏ, sạt lở đất trên sườn dốc. Do mức độ nguy hiểm của bão số 3, BCĐ Quốc gia Phòng chống thiên tai đề nghị người dân lưu ý không nên chủ quan. Trong đó, BCĐ khuyến cáo người dân cần chủ động dự trữ thực phẩm, nước uống, thuốc men, vật dụng cần thiết đủ dùng trong ít nhất 7 ngày.
Nhiều địa phương cho học sinh nghỉ học
Sáng 6/9, trước nguy cơ chịu ảnh hưởng lớn của siêu bão Yagi (bão số 3), Ban Thường vụ Thành ủy Hà Nội họp chỉ đạo triển khai các biện pháp cấp bách bảo đảm an toàn về người và tài sản trên địa bàn thành phố. Báo cáo Ban Thường vụ Thành ủy, lãnh đạo Sở Giáo dục và Đào tạo Hà Nội chỉ đạo các trường không tổ chức học, kể cả học thêm vào thứ Bảy (7/9).
Sở Giáo dục và Đào tạo tỉnh Thái Bình cũng đã có văn bản cho học sinh nghỉ học ngày thứ Sáu và thứ Bảy (ngày 6 - 7/9).
Sở Giáo dục và Đào tạo Hải Phòng cũng chỉ đạo các trường học cho học sinh nghỉ học từ 12h00 ngày 6/9, các trường học còn lại cho học sinh nghỉ học từ ngày 7/9 đến khi bão tan.
UBND tỉnh Quảng Ninh cũng đề nghị Sở Giáo dục và Đào tạo căn cứ tình mưa, bão chủ động chỉ đạo học sinh các cấp học trên địa bàn toàn tỉnh nghỉ học nếu cần thiết để đảm bảo an toàn cho học sinh và giáo viên. Chỉ đạo các cơ sở giáo dục theo dõi chặt chẽ diễn biến của bão, triển khai phương án phòng, chống bão, mưa lớn, ngập lụt, lũ quét và sạt lở đất; thông tin kịp thời, đầy đủ đến giáo viên, phụ huynh và học sinh, nhất là vùng ven biển, sông, suối, đập, đê điều... để chủ động các biện pháp phòng tránh.
Bình luận bài viết (0)
Gửi bình luận